8 / 30 俱樂部活動,潛點:龍洞4號,
龍洞海灣永遠有讓潛水人驚訝的生物出現!
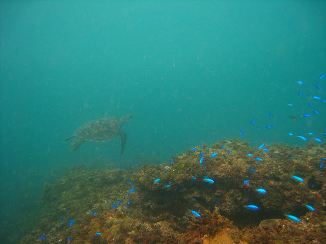
在4號往3號路程上就巧遇了 海 龜 ,
由於我巡迴在隊伍中間,一聽到領隊 文筆 蜂鳴器響,
便急往前踢,就看到了海龜正準備離開,
趕緊開了相機卻也只能捕捉到烙跑的身影了...
(當天在隊伍前面看到的潛水員應該感到幸運)
在4號往3號路程上就巧遇了 海 龜 ,
由於我巡迴在隊伍中間,一聽到領隊 文筆 蜂鳴器響,
便急往前踢,就看到了海龜正準備離開,
趕緊開了相機卻也只能捕捉到烙跑的身影了...
(當天在隊伍前面看到的潛水員應該感到幸運)
路程中又在一塊礁岩下的沙地看到了海蛇,
牠抬著頭看著我們,急忙著開相機,而牠卻轉了身離去...
這是我在龍洞灣第二次看到海龜總科的生物了(幸運),
(第一次是在1.5下,只記得是建基帶隊,
很近距離的接觸,而那隻是玳瑁屬(Eretmochelys))
有興趣者可認識海龜的各屬別(維基百科)
牠抬著頭看著我們,急忙著開相機,而牠卻轉了身離去...
(第一次是在1.5下,只記得是建基帶隊,
很近距離的接觸,而那隻是玳瑁屬(Eretmochelys))
有興趣者可認識海龜的各屬別(維基百科)

